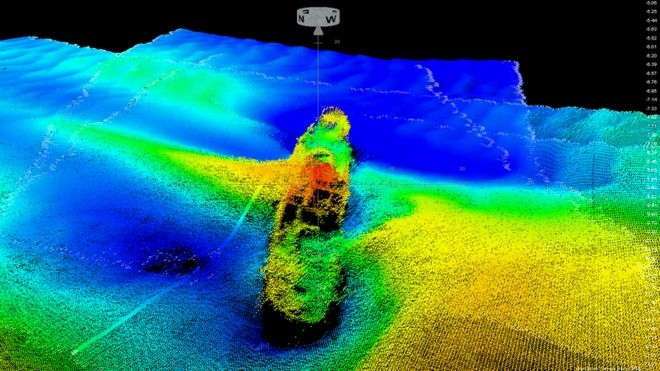
Судно The Brunswick затонуло на Рождество в 1900 году, когда оно приближалось к порту Бристоля. В той катастрофе погибли семь человек, сообщает ВВС.
Его секреты однако останутся на дне залива, потому что ил и песок уже снова накрыли судно.

The Brunswick – британский винтовой пароход, построенный в Глазго в 1898 году, который курсировал между портами Ливерпуль и Бристоль.
В отчете, который хранится в архиве, сказано, что судно затонуло в 5:30 утра 24 декабря, потому что в густом тумане наскочило на мель.
Повторная съемка на том самом месте показала, что судно уже снова покрыто песком.
Напомним, как сообщало Инше ТВ, подводный дрон исследует другой легендарный затонувший пароход
